Cyclone Pam batters Vanuatu
Reading time: (Number of words: )
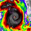
![]() | NAIROBI 13 March 2015 (IRIN) - As cyclone Pam, a category 5 storm, makes landfall today on the pacific islands of Vanuatu, humanitarian workers there say the urban poor are especially at risk. |
View online : http://www.irinnews.org/Report/1012...
Poems for the Hazara
The Anthology of 125 Internationally Recognized Poets From 68 Countries Dedicated to the Hazara
Order Now
